-
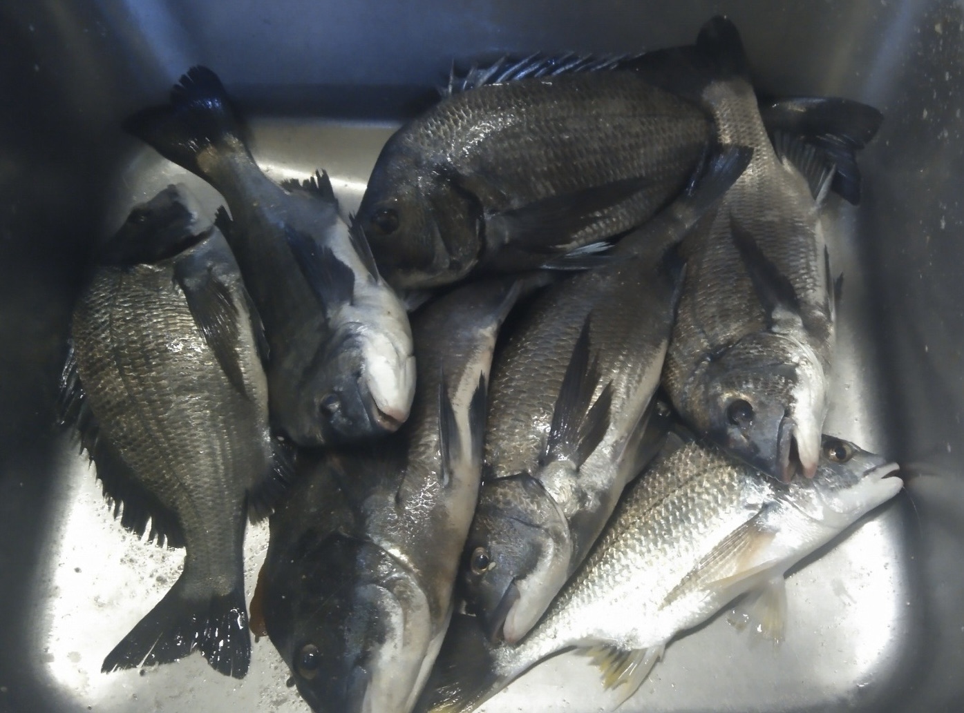
折戸、貯木場各所で大物多数釣れる(((o(*゚▽゚*)o)))♡
今朝は曇りがちな天候、西寄りの風が強めに吹いていました。今日は5組10名様を折戸方面へとご案内!西風はさらに強まって雲を吹き飛ばし富士山🗻を見せてくれました(o^^o)心折れがちなシケ模様、今日はめげずに各ポイントで40 […]
-
貯木場でお一人だけ大釣り(((o(*゚▽゚*)o)))
二日間休みをもらって営業再開!今朝は冷えましたね。今日は8組10名様がお見えになり、全カセを折戸方面浅場へとご案内!お天気良好、朝のうちは凪でしたね(o^^o)富士山🗻がとても綺麗でしたよ❣️今日は全体的に当たりが渋く、 […]
-
ボラの猛襲にあって大苦戦∑(゚Д゚)
お天気続きでしたが、今朝は曇り空、その上冷たい北風が軽く吹いていました。今日はお一人のみ、折戸方面浅場へとご案内!朝一からボラの猛襲に悩まされて、ダンゴが底まで到達できない状況。午後2時まで頑張りましたが、クロダイおよび […]
-
貯木場、午後から好漁*\(^o^)/*
正月以来ずっとお天気続き(^o^)/今朝は北風が冷たく感じました。今日は6名様を折戸方面浅場へとご案内!午前中は皆さん当たりが乏しく何やら絶望感を漂わせていましたが、午後には風も止んで暖かくなると、クロダイの活性も上がっ […]
-
昼から急に西寄りの風が強まる(*_*)
今朝もお天気良好、海上もべた凪(o^^o)お客さんはお一人のみで折戸方面浅場へとご案内!セッティング完了後に水温調査を実施!表面水温は温度低下が著しいのですが、中層から底潮までは16℃台の高水温で安定しています。お昼まで […]
-
貯木場で大釣り*\(^o^)/*
快晴の朝、風も穏やかでしたが、放射冷却がきつく寒かったですね。今日は4組5名様でお見えになり、全カセを折戸方面へとご案内!いずれのポイントも富士山🗻を正面にから堪能出来るようにセッティング❗️浅場で40㎝級の大物を4尾含 […]
-
早くも今年最初の年無しが貯木場で釣れた*\(^o^)/*
今朝も良い天気(o^^o)風も穏やかで釣り日和となりましたね(^^)今日は満員御礼🈵で折戸方面のほか、三保方面から離岸堤まで分かれてのご案内!昨日と同様、午前中はアタリが少なく午後から40㎝級の大物クロダイが続々と各所で […]
-
謹賀新年‼️本日より営業再開*\(^o^)/*
明けましておめでとうございますm(_ _)m本日より営業再開です❗️今日はお天気良好、西寄りの風が朝から吹いていましたね。折戸方面浅場と近場のバースから三保方面までご案内!午前中はアタリが渋く、昼過ぎからクロダイが釣れる […]
-
貯木場で大物大漁(((o(*゚▽゚*)o)))
今朝もお天気良好、富士山🗻も素晴らしい姿を見せてくれました❣️今日は折戸方面の他、ご希望で沖堤に三人さんご案内!昼過ぎから急に西寄りの風が強く吹き出しました。沖堤のカセは避難ε=ε=ε=┌(; ̄◇ ̄)┘浅場は40㎝級の大 […]
-
一文字堤で久々に2kg超えの歳無しが釣れた(((o(*゚▽゚*)o)))♡
今朝はデッキに霜が降りてツルツル、よく足を取られました。出船して明るくなると、この冬一番の富士山🗻の姿を見ることが出来ました。今日は折戸方面と沖堤の二手に分かれての出船!浅場で珍しくカイズクラスの爆釣で楽々二桁釣果達成‼ […]
- 2026年1月
- 2025年12月
- 2025年11月
- 2025年10月
- 2025年9月
- 2025年8月
- 2025年7月
- 2025年6月
- 2025年5月
- 2025年4月
- 2025年3月
- 2025年2月
- 2025年1月
- 2024年12月
- 2024年11月
- 2024年10月
- 2024年9月
- 2024年8月
- 2024年7月
- 2024年6月
- 2024年5月
- 2024年4月
- 2024年3月
- 2024年2月
- 2024年1月
- 2023年12月
- 2023年11月
- 2023年10月
- 2023年9月
- 2023年8月
- 2023年7月
- 2023年6月
- 2023年5月
- 2023年4月
- 2023年3月
- 2023年2月
- 2023年1月
- 2022年12月
- 2022年11月
- 2022年10月
- 2022年9月
- 2022年8月
- 2022年7月
- 2022年6月
- 2022年5月
- 2022年4月
- 2022年3月
- 2022年2月
- 2022年1月
- 2021年12月
- 2021年11月
- 2021年10月
- 2021年9月
- 2021年8月
- 2021年7月
- 2021年6月
- 2021年5月
- 2021年4月
- 2021年3月
- 2021年2月
- 2021年1月
- 2020年12月
- 2020年11月
- 2020年10月
- 2020年9月
- 2020年8月
- 2020年7月
- 2020年6月
- 2020年5月
- 2020年4月
- 2020年3月
- 2020年2月
- 2020年1月
- 2019年12月
- 2019年11月
- 2019年10月
- 2019年9月
- 2019年8月










