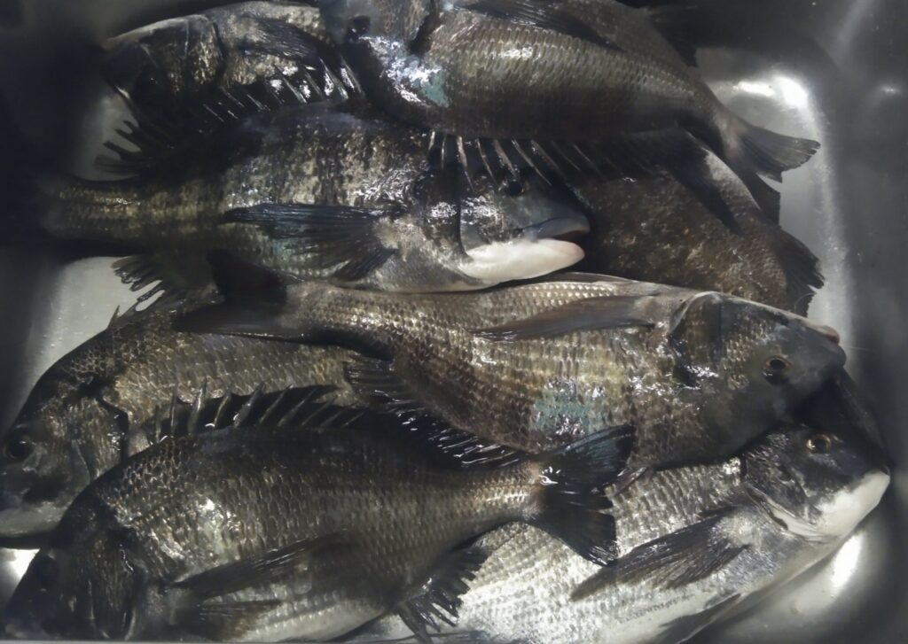
貯木場で大釣り╰(*´︶`*)╯♡
今朝の天候はまずまず(^^)
今日は5組6名様がお見えになり、折戸方面浅場から三保方面、そして離岸堤までご案内!
午前中は穏やかな天候(^^)
浅場では調子良く40㎝級の大物クロダイが釣れ続けて8尾の釣果、大釣りでした‼️
他はみな単発傾向、三保方面で40㎝級の大物が釣れたのが朗報ですね(o^^o)




おすすめの記事
関連記事はありませんでした
貯木場で大釣り╰(*´︶`*)╯♡
今朝の天候はまずまず(^^)
今日は5組6名様がお見えになり、折戸方面浅場から三保方面、そして離岸堤までご案内!
午前中は穏やかな天候(^^)
浅場では調子良く40㎝級の大物クロダイが釣れ続けて8尾の釣果、大釣りでした‼️
他はみな単発傾向、三保方面で40㎝級の大物が釣れたのが朗報ですね(o^^o)




関連記事はありませんでした