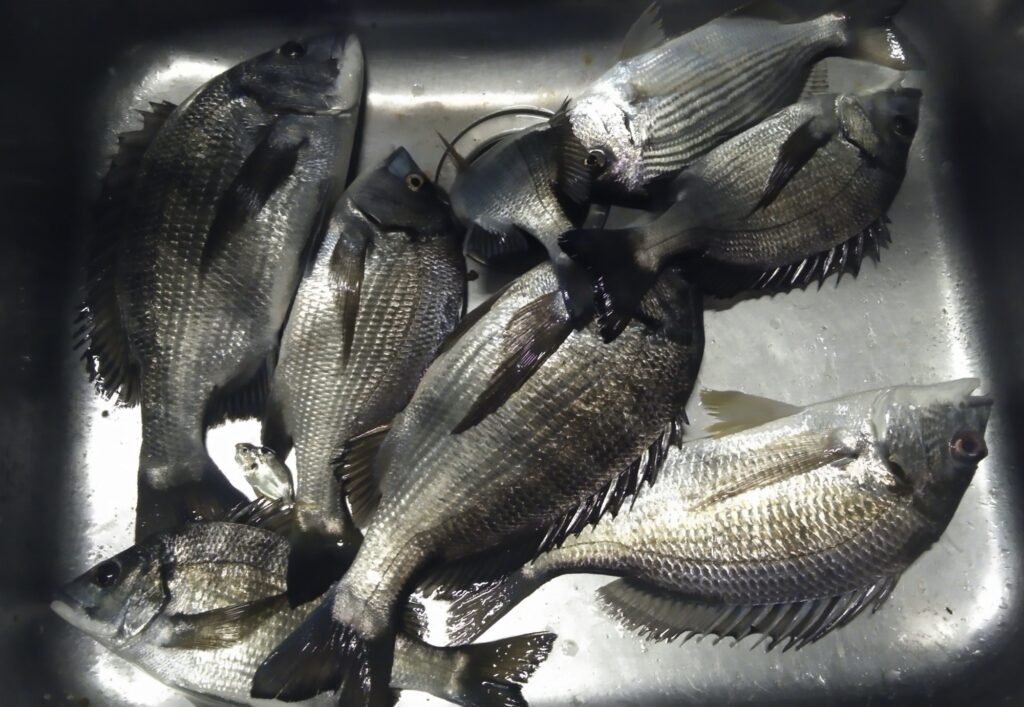
なんとかクロダイ全員がゲット(^^)
今朝は雲が多めの天候で、富士山🗻もひょっこり顔出しでした🫡
今日は全カセを折戸方面浅場へとご案内!
午前中の釣果が芳しくなかったことを理由づけするかのように、お弁当配達時に行った水温調査では先週よりも2℃も下がっていることが判明!
午後からは水温上がって、全員がクロダイをゲット❗️




おすすめの記事
関連記事はありませんでした
前の記事
次の記事
