-
チームシーガー清水港大会が開催されました(o^^o)
当店裏の神社⛩️の桜が咲き始めましたよ❣️今日はチームシーガー清水港大会と並行しての出船!朝から大勢のお客さんでごった返していました。折戸方面と三保方面から離岸堤までと二手に分かれてのご案内!大会選手のほとんどがクロダイ […]
-
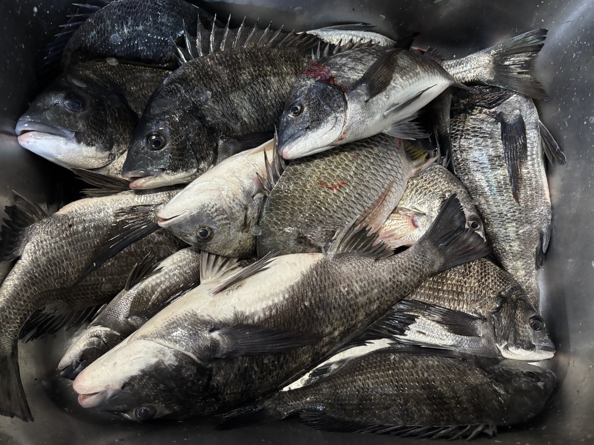
貯木場で大釣り╰(*´︶`*)╯♡
今朝の天候はまずまず(^^)今日は5組6名様がお見えになり、折戸方面浅場から三保方面、そして離岸堤までご案内!午前中は穏やかな天候(^^)浅場では調子良く40㎝級の大物クロダイが釣れ続けて8尾の釣果、大釣りでした‼️他は […]
-
予報より早く雨が降り出しました(°▽°)
朝から雨が降り出してきましたね。今日は3組4名様がお見えになり折戸とご希望で離岸堤までご案内!水温調査も実施、上から底までほぼ15℃に達していて温度差がありません。離岸堤は午前中のみで、40㎝級の大物クロダイ2尾の釣果‼ […]
-
連日、折戸で好漁(^-^)v
今朝の天候はまずまず、今日は6組8名様を折戸方面へと全カセご案内!午前中は絶好の釣り日和ながら、クロダイが釣れていたのは浅場で1尾のみ!午後になって折戸では一時入れ喰い状態となり40㎝弱のクロダイを10尾ゲット‼️浅場で […]
-
昨日、3月23日分のコメントm(_ _)m
昨日の真夜中から雨が降り始め、明け方には小康状態に。今日は3名様がお見えになり、折戸方面へとご案内!セッティング完了するころには雨が止みましたね。午前中には全員がクロダイをゲット‼️圧巻だったのは折戸でほとんどが40㎝級 […]
-
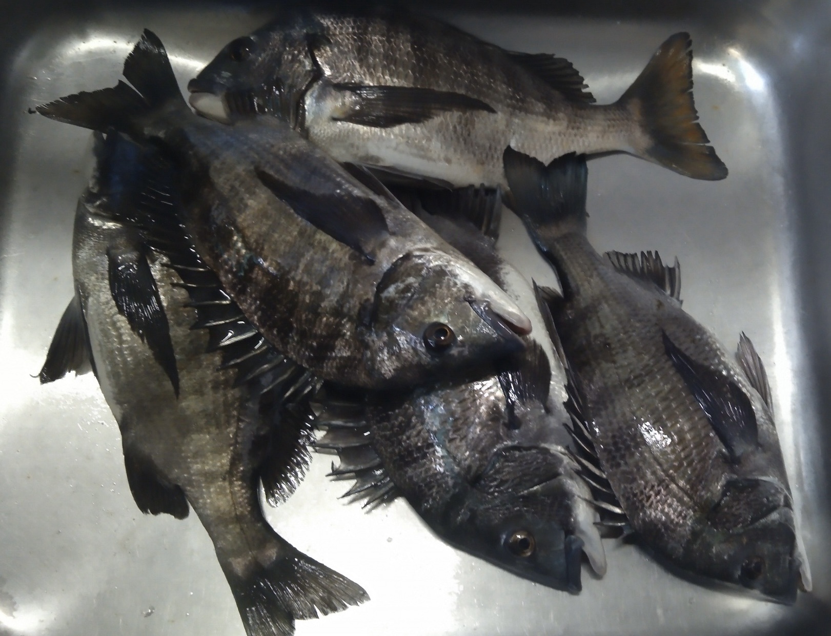
今日は貯木場で好漁*\(^o^)/*
今朝の富士山🗻は霞みがかっていましたね。今日は6組7名様がお見えになり、全カセを折戸方面へご案内!浅場でお一人だけが午前中から最後までポツポツと釣れて、40㎝級の大物4尾含む最終的には7尾の釣果で本日の竿頭‼️折戸ではバ […]
-
久々に釣行した離岸堤で好漁*\(^o^)/*
今朝はお天気良好、風も穏やかでしたね(o^^o)7組9名のお客さんがお見えになり、折戸方面の他に、お一人だけご希望で離岸堤へとご案内!その離岸堤が午前中から好調で、40㎝級の大物クロダイを3尾含み最終的には7尾の釣果‼️ […]
-
折戸で好漁*\(^o^)/*
今朝は曇りがちな天候、風も強めに吹きましたね。今日は8組9名様がお見えになり、全カセを折戸方面へとご案内!朝一で大物クロダイを浅場でゲット❗️順調なスタート切れたかと思いきや、浅場は単発傾向で終わってしまいましたね。折戸 […]
-
釣行者全員がクロダイゲット(^^)v
昨夜からの雨は出船してからも降り続きましたね。今日は3名様を折戸方面へとご案内!セッティングしてから雨降りがようやく昇降状態になりましたね。風は全く吹かずに海上はベタ凪で助かりました(^^)折戸では午前中からクロダイ釣れ […]
-
午前中は食い渋り-_-b
今朝は曇りがちな天候、海上は凪で、3名様がお見えになり、折戸方面へとご案内!喰い渋く午前中は浅場で手釣りでクロダイをゲットしたお一人のみ!午後になってから40㎝の大物クロダイが釣れ、折戸でもクロダイをゲット❗️浅場で5尾 […]
- 2026年3月
- 2026年2月
- 2026年1月
- 2025年12月
- 2025年11月
- 2025年10月
- 2025年9月
- 2025年8月
- 2025年7月
- 2025年6月
- 2025年5月
- 2025年4月
- 2025年3月
- 2025年2月
- 2025年1月
- 2024年12月
- 2024年11月
- 2024年10月
- 2024年9月
- 2024年8月
- 2024年7月
- 2024年6月
- 2024年5月
- 2024年4月
- 2024年3月
- 2024年2月
- 2024年1月
- 2023年12月
- 2023年11月
- 2023年10月
- 2023年9月
- 2023年8月
- 2023年7月
- 2023年6月
- 2023年5月
- 2023年4月
- 2023年3月
- 2023年2月
- 2023年1月
- 2022年12月
- 2022年11月
- 2022年10月
- 2022年9月
- 2022年8月
- 2022年7月
- 2022年6月
- 2022年5月
- 2022年4月
- 2022年3月
- 2022年2月
- 2022年1月
- 2021年12月
- 2021年11月
- 2021年10月
- 2021年9月
- 2021年8月
- 2021年7月
- 2021年6月
- 2021年5月
- 2021年4月
- 2021年3月
- 2021年2月
- 2021年1月
- 2020年12月
- 2020年11月
- 2020年10月
- 2020年9月
- 2020年8月
- 2020年7月
- 2020年6月
- 2020年5月
- 2020年4月
- 2020年3月
- 2020年2月
- 2020年1月
- 2019年12月
- 2019年11月
- 2019年10月
- 2019年9月
- 2019年8月










